
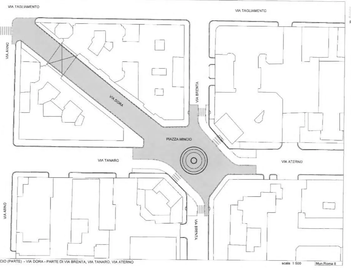
Cambia la mobilità nel cuore del quatiere Coppedè. Piazza Mincio e parte delle strade che vi convergono saranno pedonalizzate e riqualificate. La giunta capitolina ha approvato la delibera che dà il via all’intervento nel cuore del quartiere Coppedè, in II municipio, coinvolgendo anche via Dora, via Brenta, via Tanaro e via Aterno. Un progetto che punta a restituire spazio ai pedoni e a valorizzare un’area di altissimo pregio storico, architettonico e urbanistico.
«La delibera approvata si inserisce nel quadro complessivo dei provvedimenti che hanno l’obiettivo di rendere le strade di Roma più sicure e di restituire lo spazio fisico alle persone, togliendolo alle automobili», ha spiegato l’assessore capitolino alla Mobilità Eugenio Patanè. Secondo l’assessore, interventi di questo tipo sono ancora più necessari in contesti di grande valore come piazza Mincio, «che deve essere assolutamente tutelata e liberata dalle auto».
La pedonalizzazione, accompagnata dalla riqualificazione delle pavimentazioni, andrà inoltre a migliorare la sicurezza delle cosiddette utenze deboli e a incidere positivamente sulla salute e sulla qualità della vita dei cittadini.
Soddisfazione anche da parte del II municipio. «Con un investimento di 1.300.000 euro tra fondi giubilari e fondi del bilancio municipale – ha dichiarato la presidente Francesca Del Bello – abbiamo voluto restituire al quartiere Coppedè, nel centenario della sua nascita, l’originario splendore, valorizzandone la bellezza». Un intervento fortemente voluto dal municipio che consentirà a residenti e turisti di godere appieno di uno dei complessi urbanistici più suggestivi della Capitale.
Il progetto permetterà di mettere in risalto i pregevoli elementi architettonici ideati da Gino Coppedè, ispirati all’arte Liberty e all’Art Déco, con richiami allo stile greco classico, medievale e rinascimentale. Tra i simboli dell’area spiccano lo scenografico arcone di via Dora con il lampadario in ferro battuto e le raffinate finiture della Fontana delle Rane, destinati a diventare ancora più fruibili senza il traffico veicolare.
Con la pedonalizzazione di piazza Mincio, l’amministrazione capitolina compie un nuovo passo nella direzione di una città più sicura, sostenibile e attenta alla valorizzazione del proprio patrimonio storico e urbano.
La Capitale, il nuovo giornale online di Roma
La Capitale, è una testata giornalistica iscritta nel Registro Stampa del Tribunale di Roma il 25 luglio 2024, n. 100/2024
DIRETTORE RESPONSABILE
Stefano Quagliozzi